Tbd 29 Loop 567, Granbury, TX

$895,594

Previous Next

2.57

Acres

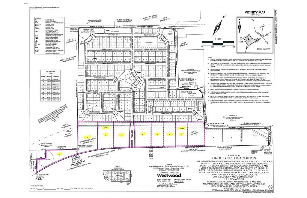
About Tbd 29 Loop 567

This commercial lot has double frontage on Loop 567 as well as Camp Crucis Ct. and is part of a recently platted Subdivision known as Crucis Creek Addition. There are 305 SINGLE FAMILY LOTS platted immediately behind this property WHICH IS AVAILABLE AS WELL. This location is grandfathered for City water and sewer.

Features of Tbd 29 Loop 567

MLS® # 21007850
Price $895,594
Bathrooms 0.00
Acres 2.57
Type Commercial Sale
Sub-Type Unimproved Land
Status Active

Community Information

Address Tbd 29 Loop 567
Subdivision Crucis Creek
City Granbury
County Hood
State TX
Zip Code 76048

Amenities

Utilities City Sewer, City Water
Is Waterfront No
Has Pool No

Interior

Fireplace No
# of Stories 1
Stories 1

Exterior

Construction Other

Additional Information

Zoning Commercial

Listing Details

AgentJimmy Martin
OfficeRAILHEAD REALTY, LLC
Contact Info817-441-2255

Listing Map

Request a Showing

Provide a valid email address.
When would you like to view this property?