838 Premier Parkway, Grand Prairie, TX

$129,900

Previous Next

0.16

Acres

About 838 Premier Parkway

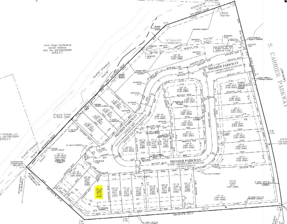
*Total of 4 lots, must be sold all together. price listed is per lot. 832-838 Premier Parkway* Don’t miss this rare opportunity to build your dream townhome or investment property in the heart of Grand Prairie. Located at 838 Premier Parkway, this 6,850 sq ft open lot offers a clean slate in a well-established and growing area. With water and electricity already available on-site, you’re one step closer to bringing your vision to life. Located in a prime location just minutes from major highways, shopping, dining, and entertainment, this lot provides the perfect balance of convenience and comfort. Whether you're a builder, investor, or future homeowner, this is a fantastic opportunity to secure a great piece of land in a thriving community.

Features of 838 Premier Parkway

MLS® # 21011517
Price $129,900
Bathrooms 0.00
Acres 0.16
Year Built 2025
Type Land
Sub-Type Improved Land
Status Active

Community Information

Address 838 Premier Parkway
Subdivision Carrier Parkway Townhomes
City Grand Prairie
County Dallas
State TX
Zip Code 75051

Amenities

Utilities City Water, Electricity Available, Sidewalk
Is Waterfront No
Has Pool No

Interior

Fireplace No

Exterior

Lot Description Cul-De-Sac, Subdivision

School Information

District Grand Prairie ISD
Elementary Austin
Middle Adams
High Grand Prairie

Additional Information

Zoning Townhomes

Listing Details

AgentShaheer Hashmi
OfficeDHS Realty
Contact Info254-371-3883

Listing Map

Request a Showing

Provide a valid email address.
When would you like to view this property?